REQUEST A TOUR If you would like to see this home without being there in person, select the "Virtual Tour" option and your agent will contact you to discuss available opportunities.
In-PersonVirtual Tour

$ 224,990
Est. payment | /mo
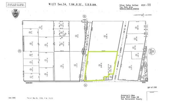
33.99 Acres Lot
$ 224,990
Est. payment | /mo
33.99 Acres Lot
Key Details
Property Type Vacant Land
Sub Type Lots/Land
Listing Status Active
Purchase Type For Sale
MLS Listing ID HD25036371
Lot Size 33.990 Acres
Property Sub-Type Lots/Land
Property Description
***Come VIEW and MAKE an OFFER TODAY! Affordable COMMERCIAL LAND OPPORTUNITY located in expanding Newberry Springs CA. The 33.99 ACRE PARCEL is zoned CG-SCp (General Commercial - Sign Control Primary) which allows for many different commercial/renewable energy uses including the possibility of installing billboard signage along the southern boundary which runs adjacent to VERY HIGH TRAFFIC Interstate-40. In addition to frontage along the interstate, the nearly 1.5M square-foot lot has approximately 800 feet of paved access frontage along Newberry Rd, and approximately 1300 feet of RAILROAD frontage along the northern boundary which could be suitable for a shipping RAIL SPUR. Not to mention, the site is only a few blocks away from the Interstate 40/Newberry Rd exit and is about 15 miles away from the Interstate 15/Hwy 58 interchanges offering excellent access to pretty much all of Southern CA. Plus the property is adjacent to utility lines. With huge companies like PG&E, BNSF, and the US Military expanding their activities nearby, this property is ideal for any savvy real estate investor or anyone looking to grow their business in order to accommodate the influx of logistical operations coming to the area. A definite MUST SEE OPPORTUNITY worthy of serious consideration before it's too late! ***
Location
State CA
County San Bernardino
Direction I-15 N to I-40 E. I-40 E to Newberry Rd/Route 66 Exit. Route 66 E to Newberry Rd. Newberry Rd N to PIQ.
Interior
Fireplace No
Exterior
View Y/N No
Present Use Commercial
Others
Tax ID 0531082380000

Listed by Jeffrey Nyal Coldwell Banker Home Source

"My job is to find and attract mastery-based agents to the office, protect the culture, and make sure everyone is happy! "